Properties

Property Description

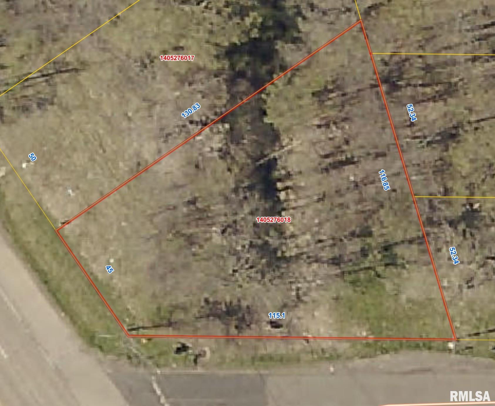
Hard corner, 0.21 acre lot suitable for many development uses such as retail, drive thru restaurant or coffee shop, billboard, etc.. Zoning is currently R3 Single-Family Residential District (Medium Density).

Features
: Level, Ravine, Unknown, Sloped, Timber
R-3
Address Map
US
IL
Peoria
Peoria
KNOXVILLE
8610
Avenue
0
W90° 23' 45.1''
N40° 47' 32.9''
Corner of Knoxville and Picture Ridge
N
MLS Addon
RE/MAX Traders Unlimited
Justin
Ball
$0
63
RMAPAP1009398
RMAPAPRMAX
Active
14-05-276-018
: Public Sewer
$866
2024
justinashbyball@gmail.com

Commercial Sale For Sale

8610 KNOXVILLE Avenue, Peoria, Illinois

0 Acre
$35,000
Listing ID #RMAPA1259850
Basic Details
Property Type : Commercial Sale
Listing Type : For Sale
Listing ID : RMAPA1259850
Price : $35,000
Lot Size : 0 Acre
Property Sub Type : Commercial
Standard Status : Active
Agent info
Gateway Realty Group
Contact Agent